Dobrodzień, Szemrowicka
70 999,00 PLN
Działka (Budowlana) na sprzedaż , 0,08 m2
887 487,50 PLN /m2
Powierzchnia
0,08 m2

Dane nieruchomości:

Numer oferty: 34964546849
Powierzchnia: 0,08 m2
Cena za m2: 887 487,50 PLN
Cena: 70 999,00 PLN

Opis nieruchomości:

Na sprzedaż 4 atrakcyjne działki budowlane położone w spokojnej okolicy, zaledwie 2 km od centrum Dobrodzień (woj. opolskie).

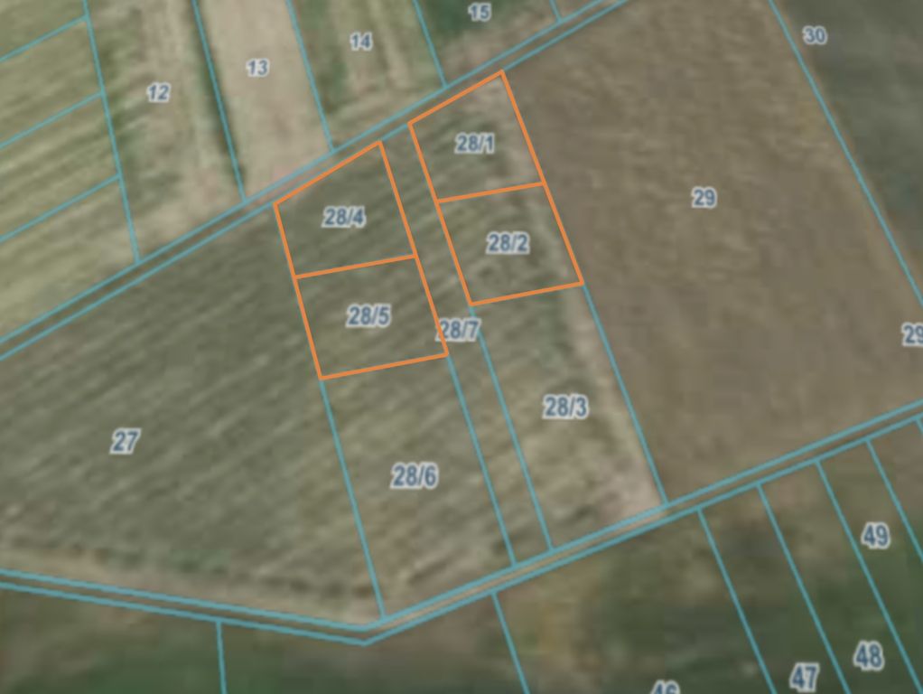
Numery działek i powierzchnie:

  • 28/1 – 8,45 ara
  • 28/2 – 8,30 ara
  • 28/4 – 8,48 ara
  • 28/5 – 8,30 ara


Pełne prawo własności bez zadłużeń

Każda z działek posiada aktualne warunki zabudowy na dom jednorodzinny, co pozwala na szybkie rozpoczęcie budowy.

Lokalizacja

Nieruchomości znajdują się przy zjeździe z ul. Szemrowickiej, pomiędzy Dobrodzieniem a Warłowem, z bardzo dobrym dojazdem do drogi krajowej nr 46. To idealne połączenie spokojnej, podmiejskiej lokalizacji z wygodnym dostępem do infrastruktury.

Infrastruktura w pobliżu (Dobrodzień):

  • przedszkole
  • szkoła podstawowa
  • liceum
  • markety spożywcze (Dino, Biedronka)
  • lokale gastronomiczne
  • dom kultury
  • kino
To doskonała propozycja dla osób szukających miejsca pod budowę domu w spokojnej okolicy, z szybkim dojazdem do miasta i pełnej infrastruktury.




Skontaktuj się z agentem :
Sylwester Rosa

Telefon : 601207656

biuro@panorama.nieruchomosci.pl


Lokalizacja: